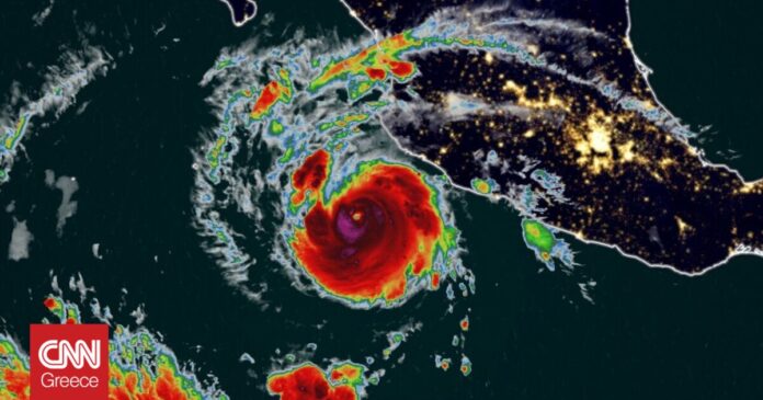
Με κατεύθυνση προς τα ανοιχτά της δυτικής ακτής του Μεξικού, ο τυφώνας Ρόσλιν έχει ενισχυθεί σε μεγάλη καταιγίδα κατηγορίας 4 και αναμένεται να φτάσει στην ξηρά αυτό το Σαββατοκύριακο, σύμφωνα με τις μετεωρολογικές προβλέψεις.
Σύμφωνα με το Εθνικό Κέντρο Τυφώνων, ο Ρόσλιν έχει σταθερούς ανέμους ταχύτητας 210 χιλιομέτρων την ώρα από αργά το πρωί του Σαββάτου.
«Προβλέπεται επιπλέον ενίσχυση σήμερα», πρόσθεσε το κέντρο τυφώνων. «Αν και κάποια εξασθένηση είναι πιθανή αρχής γενομένης απόψε, ο Ρόσλιν αναμένεται να είναι ακόμα ένας ισχυρός τυφώνας όταν φτάσει στην ξηρά την Κυριακή».
Η σταθερή ταχύτητα ανέμου του Ρόσλιν αυξήθηκε κατά 96 χιλιόμετρα την ώρα μέσα σε 24 ώρες από την Παρασκευή έως το πρωί του Σαββάτου, υποδηλώνοντας μια ταχεία ένταση. Μια καταιγίδα υφίσταται ταχεία ένταση όταν οι μέγιστοι παρατεταμένοι άνεμοι της αυξάνονται τουλάχιστον 56 χιλιόμετρα την ώρα σε ένα 24ωρο ή λιγότερο.
Ο μεγάλος τυφώνας βρίσκεται περίπου 240 χιλιόμετρα δυτικά-νοτιοδυτικά του Μανζανίλο του Μεξικού. Ο Ρόσλιν συνεχίζει να κινείται βόρεια-βορειοδυτικά με 8 μίλια την ώρα, παράλληλα με τη νοτιοδυτική ακτή του Μεξικού. Στη συνέχεια, προβλέπεται ότι η καταιγίδα θα στραφεί προς την ακτογραμμή αργότερα απόψε, προτού «πιθανώς φτάσει στην ξηρά κατά μήκος της ακτής της μεξικανικής πολιτείας Ναγιαρίτ το πρωί της Κυριακής», ανέφερε το κέντρο τυφώνων.
Τροπικές καταιγίδες αναμένεται να φτάσουν στην ακτογραμμή σήμερα το απόγευμα και συνθήκες τυφώνα αναμένονται μέχρι σήμερα το βράδυ.
Το Las Islas Marias – ένα αρχιπέλαγος περίπου 60 μίλια μακριά από την ηπειρωτική ακτή – βρίσκεται υπό προειδοποίηση τυφώνα από το πρωί του Σαββάτου, όπως και τμήματα της δυτικής-κεντρικής ακτής της ηπειρωτικής χώρας από την Playa Perula έως το El Roblito.
Μια προειδοποίηση για τυφώνα εκδίδεται συχνά 36 ώρες πριν από τους ανέμους με τροπικές καταιγίδες και όποιες προετοιμασίες γίνονται πριν από την άφιξη της καταιγίδας θα πρέπει να ολοκληρωθούν βιαστικά.
Ο Ρόσλιν θα φέρει επικίνδυνες καταιγίδες και πλημμυρικές βροχές σε παράκτιες περιοχές του νοτιοδυτικού και δυτικού-κεντρικού Μεξικού τις επόμενες 48 ώρες.
«Αυτή η βροχόπτωση θα μπορούσε να οδηγήσει σε ξαφνικές πλημμύρες και κατολισθήσεις σε περιοχές ανώμαλου εδάφους», ανέφερε το κέντρο τυφώνων.
Το επικίνδυνο κύμα καταιγίδας θα φέρει επίσης σημαντικές παράκτιες πλημμύρες κοντά και στα ανατολικά του σημείου στην ξηρά, όπου θα χτυπήσει ο Ρόσλιν την Κυριακή, πρόσθεσε το κέντρο των τυφώνων.
«Αναμένεται ταχεία εξασθένηση μετά την πτώση, καθώς ο Ρόσλιν κινείται μέσα από τα βουνά της Sierra Madre Occidentals», ανέφερε το κέντρο των τυφώνων.
Στην πολιτεία Χαλίσκο, οι αρχές ζήτησαν από τους κατοίκους να αποφεύγουν τις παραλίες και από τους τουρίστες να αποφεύγουν δραστηριότητες στις ακτές ή σε ορεινές περιοχές αυτό το σαββατοκύριακο. Κάλεσαν επίσης όσους κατοικούν σε περιοχές με χαμηλό υψόμετρο κοντά σε ποτάμια ή χειμάρρους να μετακινηθούν σε ασφαλέστερα σημεία.
cnn.gr









